Київ, Солом'янський р-н, Уманська вул., 35/37
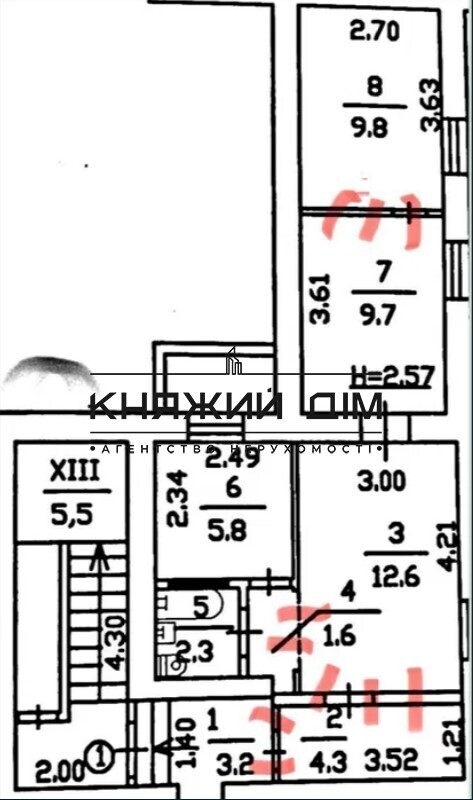
Продаж 2-кімнатнатної квартири по вул.Уманська, 35/37. Поверх 1 з 5. Цегляний будинок. поверхового цегляного будинку. квартира переведена в нежитловий фонд, 2 входи: окремий і через під'їзд. До основної площі квартири додатково 7,7 м2 (занесено в тех. паспорт). Виходить на фасад вул Уманьська. Має парковочний майданчик. Код об'єкта: 21146523